Buddy’s Traffic Ordeal

Gorgeous two-year-old Buddy, a domestic medium hair cat was rushed to us with severe injuries and needed a complex operation to repair his pelvic fractures after being hit by a vehicle in a road traffic accident. However, thanks to the skills of our surgeons and Buddy’s determination and will to survive, he is walking freely again.

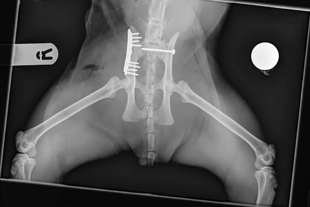
Matthew Eayrs, one of our Consultants in Orthopaedic surgery said: “When Buddy arrived with us, he was in a very serious condition and was not able to walk with a severe right pelvic lameness. A radiograph confirmed severe pelvic fractures which meant Buddy needed an urgent operation to give him the best chance of walking again. The surgery itself involved repairing the fractures with pins. A post-operative radiology revealed good fracture fragment alignment and implant positioning.”

Buddy made good progress after surgery and is able to walk on all of his legs again with no obvious pain.

Buddy’s grateful owner, said: “ From the moment I bought him to you to the moment he was discharged you gave him the absolute best care. His injuries were significant but he has made a brilliant recovery thanks to the expertise of your vets, especially Matt. I can’t thank you enough. I can’t recommend you enough. Thanks again.”